Samedi 14 septembre.
Bonjour à tous, aujourd'hui je vais présenter ma colonie de Pheidole pallidula.
La petite histoire.
Il y a 6 mois, la gyne de ma colonie de Pheidole de plus de 500 ouvrières décède subitement.
Elle fondait tranquillement pendant ces 2 mois et aujourd'hui, elle se retrouve à la tête d'une belle jeune colonie !
La colonie.
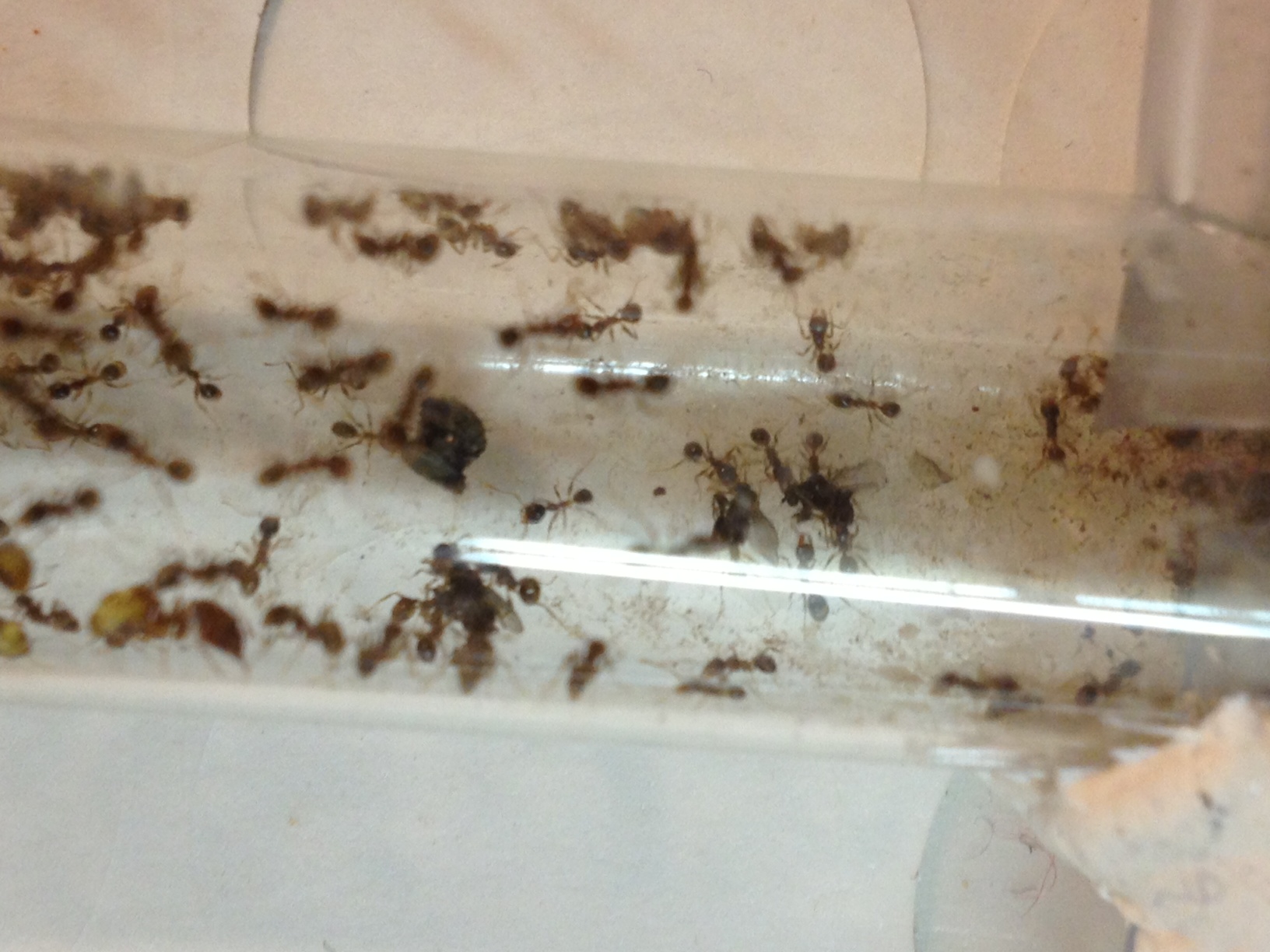
La colonie doit posséder environ 60-90 ouvrières (à vrai dire je ne les compte pas trop) et la gyne bien-sûr ^^.
Elle sont dans un système de tube relié avec une adc "zéro évasion"
Le nid.
Comme dit plus haut, leur nid se composent de 3 tubes reliés entre eux avec une connexion pour plus tard, et une adc "zéro évasion".
Et voici les photos de la jeune colonie.
A bientôt !
Une question ou réaction ? C'est ici.


