Le [Q/R] ici !
Avant de commencer je tiens a préciser que j'ai commencé ce blog il y a déjà un mois environ, ce premier post sera donc une synthèse du mois de mai à aujourd'hui.
11 mai 2017
Je reçois ma gyne Camponotus vagus, une de mes espèces favorites car je la trouve vraiment très belle avec sa couleur noir mat et surtout SA TAILLE ! Elle est gigantesque, elle mesure environ 1,5 centimètres voir 1,6 centimètres !
Elle possède déjà un tout petit couvain constitué d’œufs et de petites larves et elle a une assez belle physogastrie, c'est mignon mais place à la photo ! Oui LA photo, étant donné que la gyne fonde, je ne veux pas trop la déranger tant qu'elle n'a pas ses premières ouvrières.
Désolé d'avance pour la mauvaise qualité elle est notamment due au manque d'éclairage.
Oui son couvain est caché derrière, je sais mais je ne voulais vraiment pas plus la gêner, les Camponotus étant généralement des espèces assez difficiles pour les débutants.
20 mai 2017
Après avoir pris la première photo de la gyne, j'investis dans un tapis chauffant afin de maintenir la belle à 27°C, chose qui lui réussit puisqu'elle a déjà 3 cocons, pour une Camponotus je trouve ça impressionnant, il aura fallu moins de 10 jours pour les voir arriver !
Petite remarque, la gyne a la fâcheuse tendance de se placer constamment au dessus de son couvain ce qui rend leur photographie difficile.
1 juin 2017
De 3 cocons on passe à 9 !
De plus, l'un d'eux commence à sacrément noircir, en réalité la première ouvrière est née dans la nuit où j'ai pris cette photo.
Après une mise en ADF faite par mes soins en plâtre résiné (pour un rendu plus lisse) je constate peu de fouragement de la part de l'unique ouvrière, peut-être qu'il lui faut un peu de temps. J'ai fait quelques tests de pseudo miellats, la plupart sont inspirés du blog de AFC
Il semblerait qu'elles apprécient le mélange eau sucre miel et sirop d'érable, toujours plus de sucre hein !
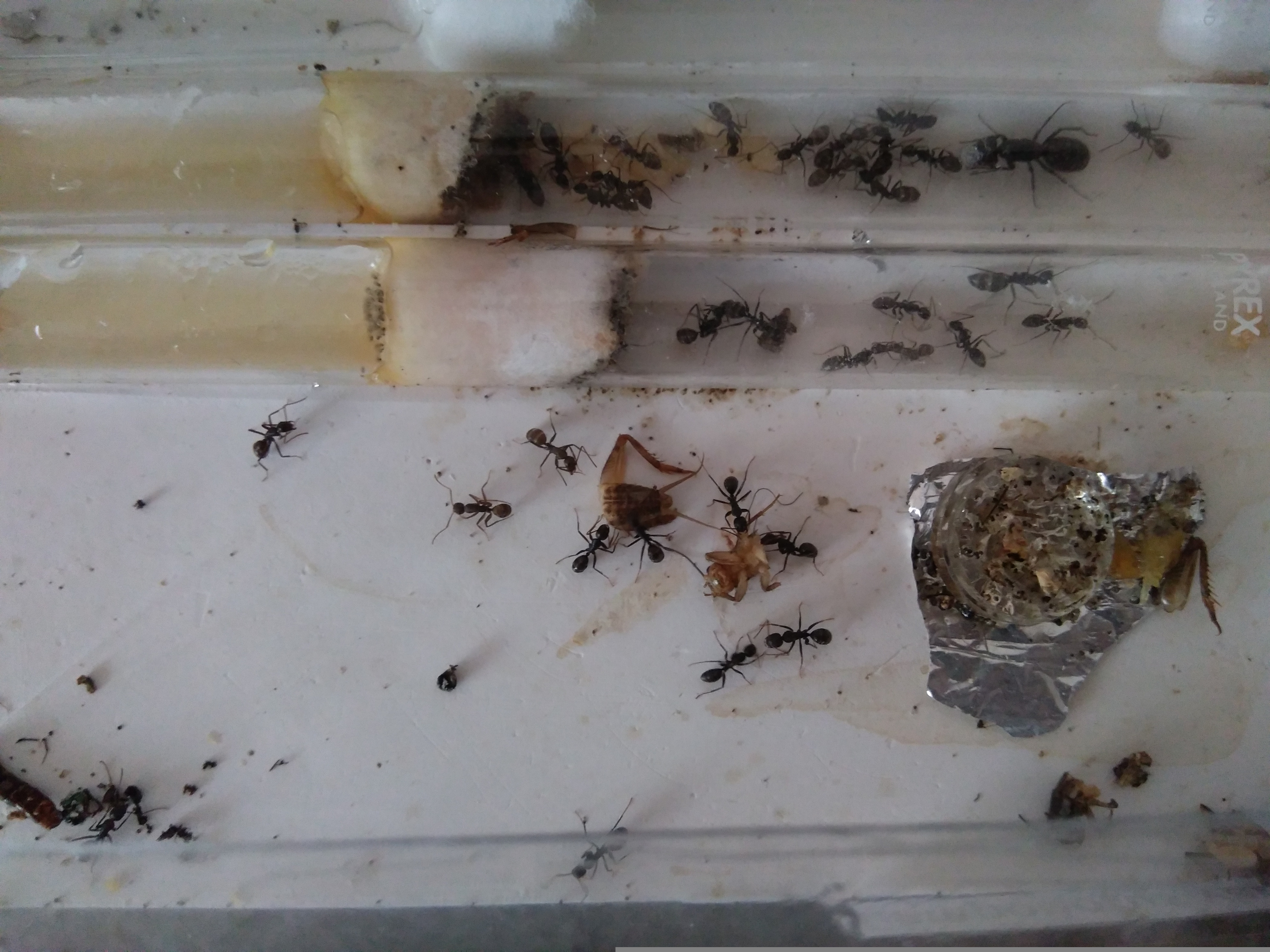
Et ce n'est que le début, en une semaine elles sont passées de 1 à 6 ouvrières et il y a encore pas mal de cocons donc je m'attends à au moins une dizaine d'ouvrières d'ici la fin du mois. Je les nourris avec le même mélange cité plus haut mais aussi avec du jambon de poulet, elles ont l'air d'adorer puisqu'elles se jettent dessus dès que je pose un morceau dans leur mangeoire afin de le ramener dans le tube pour le déchiqueter.
Bref place aux photos et à la vidéo . J'ai pu filmer la naissance de la sixième ouvrière ! J'ai accéléré la vidéo bien sûr, c'est toujours plus sympa qu'attendre 20 minutes (c'est long 20 minutes).
Voilà, j'espère ne pas avoir été trop long pour ce premier post, à la base je voulais procéder étape par étape mais mon inscription au forum a mis plus de temps que prévu (tout le temps du premier post en fait) donc les prochain posts.

