Identification 2 : fondation fourmi du Québec

Besoin d'aide pour identifier des fourmis ?
Publier votre demande ici.
Règles du forum
Pour une meilleur identification lisez SVP comment la formuler:
Instructions à suivre pour les demandes d'identification
Avatar de l'utilisateur
Alextan
Larve 1
Larve 1
Messages : 12
Inscription : mer. 4 oct. 2023 03:10
Genre :

Identification 2 : fondation fourmi du Québec

Message non lu par Alextan »

Bonjour

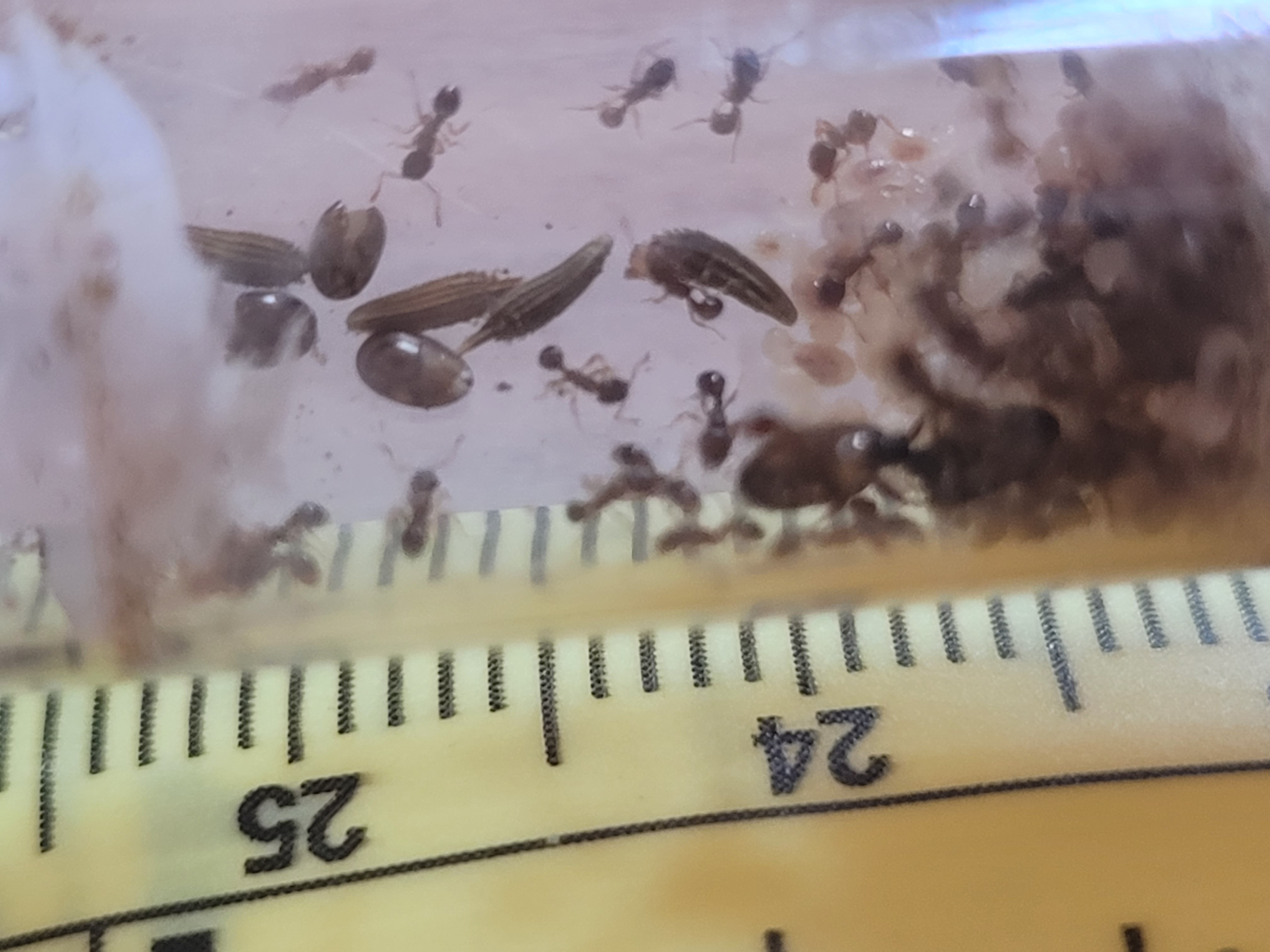
Voici une de mes deux fondations déjà développées. (Deux identiques). La gyne a été trouvée dans ma piscine en juin. Je suis au sud du Québec, en ville dans un secteur avec grand jardins et arbres.

Les ouvrières sont actives, elles rapportent au nid (tube) des morceaux d'insecte et des graines. Semblent apprécier la gelée de jus de fruit/miel que je leur donne. Elles sortent dans l'air de chasse en plein jour et soir. Peut-être de nuit aussi ?

Si vous avez besoin de plus d'informations, il me fera plaisir de les ajouter. J'ai fait de mon mieux pour les photos... Merci. :)
Pièces jointes
Fondation 2, Identification 2 : fondation fourmi du Québec
Fondation 2
Fondation 1, Identification 2 : fondation fourmi du Québec
Fondation 1
3, Identification 2 : fondation fourmi du Québec
3
Identification 2 : fondation fourmi du Québec, 20231004_110619.jpg
1, Identification 2 : fondation fourmi du Québec
1
Avatar de l’utilisateur
RatumPafPAf
Logo YouTube
Sexué Mâle
Sexué Mâle
Messages : 577
Inscription : lun. 7 août 2023 08:15

Re: Identification 2 : fondation fourmi du Québec

Message non lu par RatumPafPAf »

Hello, elles font du pain de fourmis ?
Avatar de l'utilisateur
Alextan
Larve 1
Larve 1
Messages : 12
Inscription : mer. 4 oct. 2023 03:10
Genre :

Re: Identification 2 : fondation fourmi du Québec

Message non lu par Alextan »

Bonjour,

Je vais avouer que je n'en ai aucune idée. Comment je verrais cela, le pain de fourmis ?

Je pense à Pheidole (ce serait génial) ou Monomorium mais elle serait un peu trop grande pour le 2e ? Je suis peut-être complètement dans l'erreur aussi! :)

Je vois 2 lignes blanchâtres dans la section postérieure de l'abdomen de la gyne qui est parfaitement ovale.
Pièces jointes
Identification 2 : fondation fourmi du Québec, 20231006_105139.jpg
Avatar de l’utilisateur
Darkyanden
Administrateur
Messages : 1675
Inscription : ven. 23 avr. 2010 15:55
Genre :

Re: Identification 2 : fondation fourmi du Québec

Message non lu par Darkyanden »

Fourmi moissonneuse, genre Messor ? Je ne sais pas s'il y en a au Québec...
Mes p'tites vidéos par ici ! Venez faire un tour sur le discord !
¯\_(ツ)_/¯
Avatar de l’utilisateur
RatumPafPAf
Logo YouTube
Sexué Mâle
Sexué Mâle
Messages : 577
Inscription : lun. 7 août 2023 08:15

Re: Identification 2 : fondation fourmi du Québec

Message non lu par RatumPafPAf »

Alextan a écrit : ven. 6 oct. 2023 18:51 Bonjour,
Je vais avouer que je n'en ai aucune idée. Comment je verrais cela, le pain de fourmis ?

Je pose la question car je vois que vous leurs avez donné des graines, ce qui m'a amené à vous poser cette question et savoir ce qu'elles en faisaient ? ...

Les ignorent-elles...

Les stockent-elles...

Les "mâchouillent"-elles en donnant l'impression de les pétrir pour faire du pain de fourmis, caractéristique des Messor (sans S ^^) ?
Avatar de l'utilisateur
Alextan
Larve 1
Larve 1
Messages : 12
Inscription : mer. 4 oct. 2023 03:10
Genre :

Re: Identification 2 : fondation fourmi du Québec

Message non lu par Alextan »

Darkyanden a écrit : ven. 6 oct. 2023 19:14 Fourmi moissonneuse, genre Messor ? Je ne sais pas s'il y en a au Québec...

Oui, en vérifiant, nous avons des Messor. Je vois Veromessor. Le seul endroit où j'ai vu une référence aux Messor est par un technicien entomologiste sur un site d'extermination. :/ Une photo et le nom sans plus.

@RatumPafPAf: chaque fois que j'ai mis des graines, elles en ont ramené dans le tube à essaie. Elle doivent les manger car je vois aussi des détritus à l'entrée du tube.
Avatar de l’utilisateur
I-D-É-MYR.Dijon
Gyne Fécondée
Gyne Fécondée
Messages : 2532
Inscription : mer. 4 août 2021 11:46
Localisation : 21000 Dijon - Côte d'Or
Genre :

Re: Identification 2 : fondation fourmi du Québec

Message non lu par I-D-É-MYR.Dijon »

C'est vrai que lorsqu'on cherche les espèces myrmécines du Québec sur Google on tombe sur Terminator, Exterminator ou Destructor de fourmis, mais sans voir grand chose d'autre. :think:

Pour moi il s'agirait de Tetramorium caespitum très fréquente au Québec et dont le nom français, là-bas, est "Fourmi des pavés" (nom anglais "Pavement Ant") ; mais chez nous, en France, on l'appelle plutôt "fourmi des gazons". Elle est omnivore et récolte aussi des graines dont celles du pissenlit que je crois avoir reconnu sur tes photos, Alextan.

Je viens de voir sur AntWiki qu'il existe 12 espèces de Tetramorium dans les Amériques : sept espèces introduites et cinq espèces indigènes. Ces derniers sont tous membres du groupe tortuosum et possèdent 11 segments antennaires. Les premiers, tous dotés de 12 segments antennaires, sont introduits.

Concernant les deux lignes blanchâtres aperçues dans la section postérieure de l'abdomen de la gyne, il est probable qu'il s'agisse de membranes reliant les tergites abdominaux, lesquelles membranes se voient bien en cas de physogastrie.

Quant au genre Veromessor, il est affecté aux régions désertiques des USA. Mais peut-être existe t-il de tels milieux au Canada (?). :neutral:
Camponotus vagus et Camponotus ligniperda - Lasius emarginatus et Lasius niger - Formica rufibarbis - Messor barbarus - Myrmica sp. - Temnothorax unifasciatus et Temnothorax nylanderi.
Avatar de l'utilisateur
Alextan
Larve 1
Larve 1
Messages : 12
Inscription : mer. 4 oct. 2023 03:10
Genre :

Re: Identification 2 : fondation fourmi du Québec

Message non lu par Alextan »

I-D-É-MYR.Dijon a écrit : sam. 7 oct. 2023 06:10

Pour moi il s'agirait de Tetramorium caespitum très fréquente au Québec et dont le nom français, là-bas, est "Fourmi des pavés" (nom anglais "Pavement Ant") ; mais chez nous, en France, on l'appelle plutôt "fourmi des gazons". Elle est omnivore et récolte aussi des graines dont celles du pissenlit que je crois avoir reconnu sur tes photos, Alextan.

lesquelles membranes se voient bien en cas de physogastrie.

Quant au genre Veromessor, il est affecté aux régions désertiques des USA. Mais peut-être existe t-il de tels milieux au Canada (?). :neutral:

Je me suis procuré une grille d'identification sur un site du Québec. C'est pas mal tout ce qu'il y avait comme information mais quand même bien, même si c'est en anglais.

Donc, avec mon peu de connaissance, je crois tout de même détecter les piques à la fin du thorax et clairement pas un abdomen en coeur. Ce qui me laisse selon cette fiche: Tetramorium spp, qui devrait avoir les deux pétioles carrés. Elles me semblent vraiment pointus. C'est pourquoi je l'avais éliminé mais je fais peut-être erreur. Ils disent avec traduction "pétiole et post-pétiole carrés et environ la même grosseur. Je vais joindre une photo.

Il y aurait ensuite Pheidole spp Fourmi à grosse tête et "winnow ant" Aphaenogaster spp. La différence serait entre avoir ou pas un "club" (?) sur les antennes. La première en ayant et la deuxième non. Selon la photo, mes fourmis ne ressembleraient pas à la deuxième.

Pour la Veromessor, après l'article mentionné plus haut, j'ai fait quelques recherche. À part une des USA qui vit à nos frontières, je n'ai rien trouvé. Mais étant tout de même spécialiste et en faisant mention dans son article, j'imagine que c'est possible. Vu la région où je vis, très au sud, beaucoup de roche, peut-être ?

Je vous montre tout de même une partie de la clé d'identification pour que vous puissiez voir vous-mêmes. :)

Pour ce qui est de la physogatrie, est ce que cela doit m'inquiéter ?
Pièces jointes
Clé d'identification partielle 1, Identification 2 : fondation fourmi du Québec
Clé d'identification partielle 1
Avatar de l’utilisateur
I-D-É-MYR.Dijon
Gyne Fécondée
Gyne Fécondée
Messages : 2532
Inscription : mer. 4 août 2021 11:46
Localisation : 21000 Dijon - Côte d'Or
Genre :

Re: Identification 2 : fondation fourmi du Québec

Message non lu par I-D-É-MYR.Dijon »

La physogastrie est normale chez les reines lorsqu'elles pondent ainsi que chez les ouvrières remplies de liquide nourricier à échanger avec leurs semblables ou à garder en réserve pour les jours maigres.

C'est un peu comme chez nous : lorsque nous avons bien mangé et bien bu, nous avons la peau du ventre bien tendue ! :grin:

Chez le genre Veromessor la reine mesure 10 mm et il y a une différence de taille (polymorphisme) entre ses ouvrières qu'on ne devine pas sur tes photos. De plus, elles ont une tête bien développée, typique chez les broyeuses de graines. Leur taille, environ 5 mm, est supérieur à celle des Tetramorium ne dépassant guère les 3,5 ou 4 mm. Mais s'il s'agit d'une jeune colonie, les ouvrières major n'apparaissent peut-être pas encore. :neutral:
Camponotus vagus et Camponotus ligniperda - Lasius emarginatus et Lasius niger - Formica rufibarbis - Messor barbarus - Myrmica sp. - Temnothorax unifasciatus et Temnothorax nylanderi.
Avatar de l’utilisateur
Darkyanden
Administrateur
Messages : 1675
Inscription : ven. 23 avr. 2010 15:55
Genre :

Re: Identification 2 : fondation fourmi du Québec

Message non lu par Darkyanden »

Le "club" sur les antennes est j'imagine la massue antennaire, qui est un critère d'identification selon sa présence / absence, ou son nombre de segments quand elle est présente...

A bien y regarder, la taille collerait effectivement davantage à Tetramorium qu'à Messor ou Aphaenogaster. De plus sur la photo 3, j'ai l'impression de voir l'épaule droite avec un angle (les fameuses épaules carrées ?).
Mes p'tites vidéos par ici ! Venez faire un tour sur le discord !
¯\_(ツ)_/¯
Répondre Nouveau sujet

Revenir à « Demandes d'Identification »