Il serait peut-être temps que je commence un blog pour vous narrer les péripéties de colonies.
Tout d'abord, les présentations :
Une colonie de Lasius niger dont la reine fut recueillie en juillet 2011, elle a donc 2 ans
Et sa "petite soeur" Lasius niger aussi mais de 2012 seulement (Lasius niger 2, donc ^^).
Une colonie de Messor barbarus de 2011 et des Tetramorium caespitum de début 2013 (je ne suis plus vraiment sûr ^^).
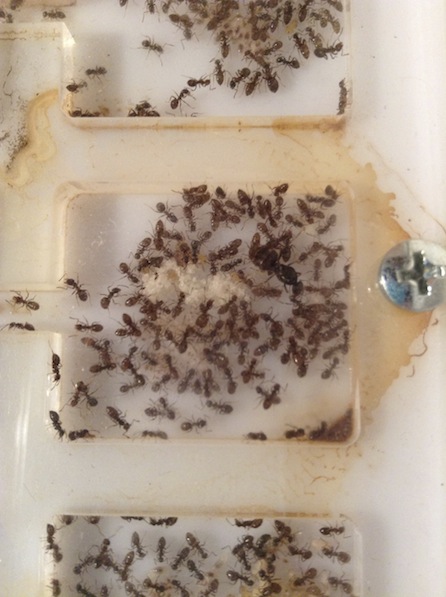
Commençons donc par Les Tetramorium :
Il n'y a pas grand chose à dire, elles sont en tube, tout ce qu'il y a de plus normal.
La colonie se compose de la reine
Elles sont très actives et me dévorent une petite sauterelle par semaine.
Je n'ai pas de photos pour le moment car le tube est plein de buée...
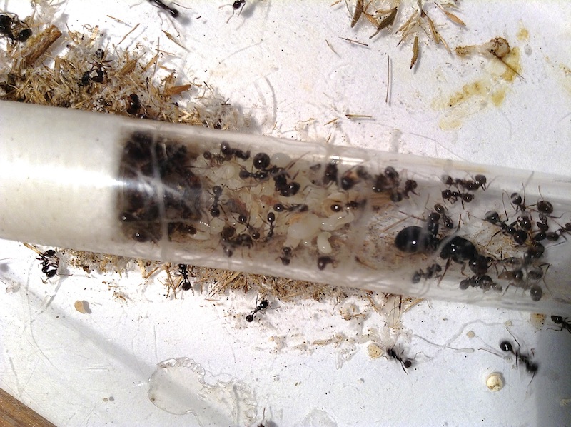
Ensuite, Les Messor barbarus :
Bon, pour cette colonie, il faut que je vous explique un truc concernant leur développement qui a pris beaucoup de retard. En effet elle date de 2011 mais n'a pas encore dépassé pour le moment la centaine d'ouvrières. :/
On va dire que j'étais jeune et qu'elles en ont un peu souffert... Je ne leur ai même pas donné une goutte d'eau pendant plusieurs mois...
Je voyais la reine pondre sans arrêt et les ouvrières mourir chacune leur tour, j'ai cherché qu'elle pouvait en être la cause mais je n'ai jamais pensé à l'eau ! Alors que toutes mes autres colonies avaient un abreuvoir que je remplissais toutes les semaines, honte à moi ! Les pauvres.
Comme vous pouvez le voir elles sont encore en tube. Il faudrait d'ailleurs que je leur trouve un joli petit nid pour me faire pardonner.
Et une photo plus précise de la reine et du couvain :
Maintenant, passons aux Lasius niger:
La colonie 1 d'abord ? Ok c'est parti !
On commence par une photo cette fois :
Et l'ADC (une big boite de f*rr*r* découpée) :
Cette colonie date donc de 2011, je ne vais pas vous refaire tout sa biographie mais sachez qu'il lui est arrivée pas mal d'aventures... (mise dans un nid "toxique" et perte de la moitié de la colonie... Pisse de chat sur le nid actuel avec inondation de l'ADC
Mais bon, maintenant elle repart dans le calme et tout se passe bien pour le moment.
Une partie de chasse : en ce moment c'est sauterelle.
.
Bon, et puis pour finir la deuxième colonie (ou plutôt fondation) de Lasius niger.
Bien plus petite, seulement une quinzaine d'ouvrières, la reine fut recueillie l'été dernier mais elle a patienté un long moment en tube avec 5-6 ouvrières qui refusaient de sortir et de se nourrir.
Elles viennent juste d'atterrir en nid et pour mon plus grand plaisir la reine a repris sa ponte (un paquet de 20-30 œufs).
Voilà, je pense que j'ai à peu près fait le tour pour ce premier billet et j'espère qu'il vous aura plu, la suite dans un prochain post.
Et le lien du Q/R, https://www.myrmecofourmis.org/forum/vi ... hp?t=14664 A plus
PS : Les photos sont un peu pourries, j'en suis désolé mais je fais avec mon iPod pour le moment :/.
Merci de votre compréhension.


