Bonjour,
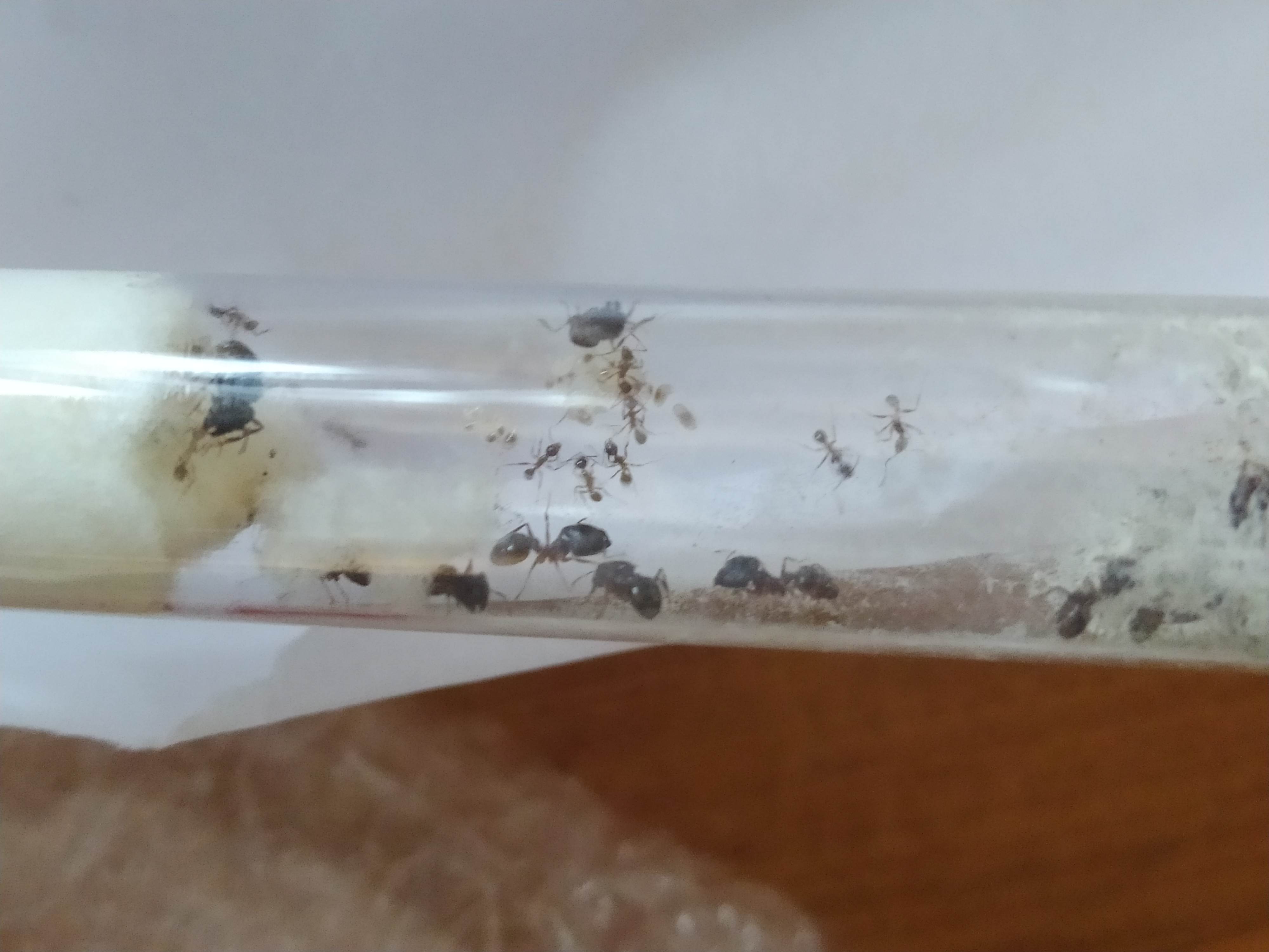
Voici mes Pheidole noda, reçu avec 10 ouvrières, 10 majors et du couvain (oui le ratio ouvrières/major est anormal, je n'en sais pas plus).
Actuellement il y a 10 ouvrières et 10 major un beau couvain, le nombre d'ouvrières va augmenter rapidement.
J'ai connecté le tube à mon nid adc en verre et elles ont déménagé dedans il y a 2 jours.
Oui le nid est trop grand, mais je n'avais pas d'adc en verre de prêt pour éviter les évasion.
Nourriture : miellat eau+miel / eau+sirop d'érable / eau+confiture et vers de farine.
Q/R ici.
[Blog] Pheidole noda
Règles du forum
Charte du Forum et Code de Déontologie du Myrmécologue
Charte du Forum et Code de Déontologie du Myrmécologue
[Blog] Pheidole noda
Mes colonies : Camponotus fedtschenkoi / Pheidole noda / Harpegnathos venator / Odontomachus rixosus / Pheidole sinica / Aphaenogaster senilis.
Recherche divers fourmis et insectes morts en bon état pour photo.
Recherche divers fourmis et insectes morts en bon état pour photo.
Re: [Blog] Pheidole noda
Petite mise à jour.
Actuellement, la colonie comporte une centaine d'ouvrières et une dizaine de major.
2 des salles sont occupés par un joli couvain, dont une grosse larve.
3 salles servent de dépotoir (à cause du nid trop grand).
Niveau comportement, si une proie leur ai proposée, 1 ou 2 majors hésitaient à sortir temps qu'elles étaient - d'une 50ene d'ouvrières, voir même rentraient rapidement si la proie s'échappait.
Maintenant j'en ai 2 ou 3 qui sortent avec une belle procession de minor.
J'ai toujours une petite dizaine d'ouvrières dans l'adc, surtout sur le coton de l'abreuvoir avec cette chaleur.
Aucune tentative d'évasion vers le plafond pour le moment.
Actuellement, la colonie comporte une centaine d'ouvrières et une dizaine de major.
2 des salles sont occupés par un joli couvain, dont une grosse larve.
3 salles servent de dépotoir (à cause du nid trop grand).
Niveau comportement, si une proie leur ai proposée, 1 ou 2 majors hésitaient à sortir temps qu'elles étaient - d'une 50ene d'ouvrières, voir même rentraient rapidement si la proie s'échappait.
Maintenant j'en ai 2 ou 3 qui sortent avec une belle procession de minor.
J'ai toujours une petite dizaine d'ouvrières dans l'adc, surtout sur le coton de l'abreuvoir avec cette chaleur.
Aucune tentative d'évasion vers le plafond pour le moment.
Mes colonies : Camponotus fedtschenkoi / Pheidole noda / Harpegnathos venator / Odontomachus rixosus / Pheidole sinica / Aphaenogaster senilis.
Recherche divers fourmis et insectes morts en bon état pour photo.
Recherche divers fourmis et insectes morts en bon état pour photo.
Re: [Blog] Pheidole noda
Quelques nouvelles.
La colonie compte désormais 300 têtes.
Avec un très beau couvain.
Très peu de major sortent lorsque j'introduis une proie vivante (2 ou 3).
Même lorsqu'une proie tombe vivante dans le nid, les majors sont peu nombreux à réagir.
Il faut peut être attendre qu'il y ai plus de "vieux" major.
Les minors font leur boulot par contre, elles assaillent la proie et l’écartèle pour l'empêcher de bouger. L'immobilisation est plutôt rapide (selon la taille de la proie bien entendu).
Elles commencent à se balader sur les parois mais elles ne s'attaquent pas encore au plafond (qui est recouvert totalement de talc).
La colonie compte désormais 300 têtes.
Avec un très beau couvain.
Très peu de major sortent lorsque j'introduis une proie vivante (2 ou 3).
Même lorsqu'une proie tombe vivante dans le nid, les majors sont peu nombreux à réagir.
Il faut peut être attendre qu'il y ai plus de "vieux" major.
Les minors font leur boulot par contre, elles assaillent la proie et l’écartèle pour l'empêcher de bouger. L'immobilisation est plutôt rapide (selon la taille de la proie bien entendu).
Elles commencent à se balader sur les parois mais elles ne s'attaquent pas encore au plafond (qui est recouvert totalement de talc).
Mes colonies : Camponotus fedtschenkoi / Pheidole noda / Harpegnathos venator / Odontomachus rixosus / Pheidole sinica / Aphaenogaster senilis.
Recherche divers fourmis et insectes morts en bon état pour photo.
Recherche divers fourmis et insectes morts en bon état pour photo.
Re: [Blog] Pheidole noda
Baisse de température effectuée de début décembre à debut février.
20°c la journée, 18°c la nuit.
J'ai diminué l'apport de pseudo miellat et en grillon pendant la diapause.
Remonté en température progressive début février.
J'ai augmenté l'apport en protéines également.
Aujourd'hui, la colonie doit compter plus de 1000 têtes et un beau couvain.
J'ai relié une 2eme ADC ce soir et je placerai la nourriture dedans dorénavant pour les faire se balader un peu plus en attendant de faire un 2eme nid + ADC en verre plus grand.
Une princesse est toujours présente dans le nid.
Les majors se montrent plus agressifs (surement les plus vieux), les minors font bien leur boulot pour immobiliser les proies rapidement.
20°c la journée, 18°c la nuit.
J'ai diminué l'apport de pseudo miellat et en grillon pendant la diapause.
Remonté en température progressive début février.
J'ai augmenté l'apport en protéines également.
Aujourd'hui, la colonie doit compter plus de 1000 têtes et un beau couvain.
J'ai relié une 2eme ADC ce soir et je placerai la nourriture dedans dorénavant pour les faire se balader un peu plus en attendant de faire un 2eme nid + ADC en verre plus grand.
Une princesse est toujours présente dans le nid.
Les majors se montrent plus agressifs (surement les plus vieux), les minors font bien leur boulot pour immobiliser les proies rapidement.
Mes colonies : Camponotus fedtschenkoi / Pheidole noda / Harpegnathos venator / Odontomachus rixosus / Pheidole sinica / Aphaenogaster senilis.
Recherche divers fourmis et insectes morts en bon état pour photo.
Recherche divers fourmis et insectes morts en bon état pour photo.
Re: [Blog] Pheidole noda
Qu'elles sont belles 
Forum


