[Blog] Présentation de mes colonies

Vous pouvez suivre ici la vie et l'histoire de certaines colonies de fourmis des bloggeurs.
Répondre
Avatar de l’utilisateur
camponotus38
Gyne Fécondée
Gyne Fécondée
Messages : 1369
Inscription : dim. 5 nov. 2017 13:48
Genre :

[Blog] Présentation de mes colonies

Message non lu par camponotus38 »

*salut*

Je présenterai ici les avancées de mes fondations, que j'espère voir devenir des colonies, en commençant par les Lasius emarginatus...
... puis les Cautolasius sp aux premières ouvrières, peut-être une inconnue dont j'attends la ponte ...

Le Q/R : https://www.myrmecofourmis.org/forum/vi ... 53&t=30868
Lasius emarginatus :

Gyne trouvée en juillet 2018 sous un lampadaire durant un essaimage nocturne. Fondation en règle, quelques pertes à déplorer mais rien de grave. Sortie de diapause en mars 2019.

06/05/19 : la fondation compte 6 ouvrières, mais n'est pas timide pour autant, le recrutement concerne en général toutes les ouvrières. Le couvain est composé d'une dizaine de larves et d'une grappe d’œufs.

26/05/19 : Premier cocons de l'année ! Le restant de la fondation : une douzaine d’œufs, 9 larves, 2 cocons... et la gyne.

15/06/19 : Mise à disposition de terre et de débris ligneux dans l'aire de fourragement. L'activité a aussitôt augmenté dans l'ADC, plus pour l'aménagement du tube et pour l'exploration que pour un réel fourragement.
Le résultat est bien visible : les ouvrières parcourent l'ADC de long en large contre le tiers de la surface côté "tube d'entrée" avec le plâtre nu.

21/06/19 : environ 10 larves, 8 cocons, récemment 8 ouvrières et un peu moins de 20 œufs.

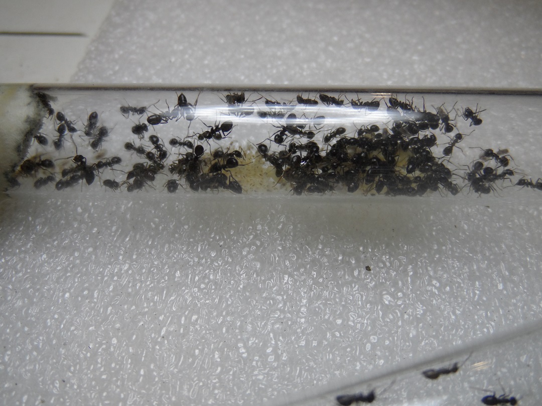
Une photo de l'ensemble, de mauvaise qualité et je m'en excuse, le tube est (très) sale :
La famille des marginales, [Blog] Présentation de mes colonies
La famille des marginales


That's all ! *salut*
Dernière modification par camponotus38 le mar. 31 mars 2020 09:24, modifié 7 fois.
Lasius emarginatus, L. fuliginosus, Formica (Serviformica) sp aff fusca, F. sp aff pratensis, Solenopsis fugax, Aphaenogaster sp aff subterranea, Messor capitatus. :arrow: Présentation de mes colonies
Avatar de l’utilisateur
camponotus38
Gyne Fécondée
Gyne Fécondée
Messages : 1369
Inscription : dim. 5 nov. 2017 13:48
Genre :

Re: Présentation de mes colonies

Message non lu par camponotus38 »

Formica cf fusca (X2) :

Fondation n°1 : Gyne trouvée dans un lieu chaud et sec, le 22/06/19. J'ai eu peur pour elle, elle est restée 3 heures dans un zip lock, dans une voiture à quasiment 40°C.
Finalement, elle s'est aussitôt calmée une fois en tube, mais pour l'attraper en plein cagnard alors qu'elle courait à cent à l'heure, ce n'était pas gagné...

- 24/06/19 : : Environ 4 œufs, les 4 premiers !

- 02/07/19 : Environ 6 larves, fin premier/deuxième stade.

- 04/07/19 : Les larves ont bien grossi, et sont probablement passées au stade suivant.

- 06/07/19 : Maintenant 2 cocons et 5 larves restantes, soit un développement de l’œuf au cocon de deux semaines. :-)

- 06/07/19 : La tendance a été inversée : 5 cocons et deux larves.

- 06/07/19 : Plus que des cocons, la gyne a bien "maigri" depuis sa capture.

- 22/08/19 : Je ne retrouve pas les billets qui suivent le précédent, normalement notés sur mon carnet, mystère...
Toujours est-il que la fondation compte actuellement 7 ouvrières et 6 cocons, et reste malgré tout très timide, je ne les ai vu visiter l'ADC que deux fois.

La deuxième maintenant (c'est probablement la même espèce donc je ne m'attarderai pas dessus, à savoir que je ne suis pas non plus attardé sur l’identification, donc bon) :

Gyne trouvée dans mon jardin le 30 du même mois que la première, première ponte le 2 juillet, les larves sont arrivées presque deux semaines après, la fondation compte actuellement 8 ouvrières, et c'est tout. Je compte la relâcher quand elle sera plus populeuse, garder un doublon ne me sert à rien.
Dernière modification par camponotus38 le sam. 30 nov. 2019 17:32, modifié 2 fois.
Lasius emarginatus, L. fuliginosus, Formica (Serviformica) sp aff fusca, F. sp aff pratensis, Solenopsis fugax, Aphaenogaster sp aff subterranea, Messor capitatus. :arrow: Présentation de mes colonies
Avatar de l’utilisateur
camponotus38
Gyne Fécondée
Gyne Fécondée
Messages : 1369
Inscription : dim. 5 nov. 2017 13:48
Genre :

Re: Présentation de mes colonies

Message non lu par camponotus38 »

Premier Post 2020, bonjour à tous les myrmécophiles ! *salut*

Aujourd'hui je vais vous parler des premières réveillées, dont certains ont déjà entendu parler hors de ce sujet, à savoir mes...
Lasius fuliginosus !

J'avais prévu de faire une mise à jour pour toutes mes espèces, avec une chronologie détaillée depuis la capture, et ce avant la mise en diapause de mes fondations, mais manque de temps, flemme, et perte du carnet dans lequel je notais les avancées de mes fondations n'ont pas aidés. Pour ces raisons, le début du compte rendu sera basé sur des imprécisions au niveau des dates, et ce pour toutes mes fondations, je m'en excuse.

Bonne lecture ! :-)

La gyne a été capturée début 2019. Je l'ai rapidement mise en contact avec la première née encore fraîche d'un gros tas de cocons, lesquels étaient des cocons de Lasius sp noires. Je suppose qu'elles sont du groupe niger, la qualité de ma bino ne me permettant que de supposer XD.
Vous qui venez de lire que la gyne a "rapidement" été mise en contact avec une hôte (et quand je dis rapidement il n'a pas du s'écouler une dizaine de minutes de sa capture à la tentative d'adoption), vous vous demandez peut être pourquoi j'ai été aussi chanceux dans ma quête de cocons... Je précise donc que ces cocons proviennent d'une tentative précédente avec une autre gyne de la même espèce, tentative qui n'a malheureusement pas abouti... ... Pour la bonne et simple raison que je n'ai pas suivi les conseils pourtant évidents : ne pas mettre la gyne avec des ouvrières "matures", être patient. J'ai fait le contraire : conscient du temps pouvant s'écouler avant que le premier imago ne pointe le bout de son nez, j'ai été chercher des ouvrières "matures" (environ 5) dans la colonie d'origine des cocons" et je les ai introduites une à une, après un passage à l'eau sucrée+réfrigérateur, sans même attendre d'être sur que la gyne n'est plus considérée comme hostile à la première ouvrière avant d'ajouter la suivante (j’exagère peut être un peu, mais je préfère ça à me jeter des fleurs en disant que "non, j'ai tout fait bien, ce n'est pas de ma faute"). Une fois tout ce petit monde en tube, direction le frigo une nouvelle fois.
Une fois ce petit monde réveillé, je me rends compte que pour l'adoption ce n'est pas gagné... Panique à bord, la gyne qui parcourt le tube en long et en large à vitesse grand V, suivie de près par ses supposées esclaves, lesquelles arrivent parfois à grimper sur la gyne, ce qui se solde souvent par une morsure. Malgré tout, il y a bien eu les fameux "dialogues" d'antennes, mais ils ne représentent qu'une petite part des contacts...
Direction le frigo une nouvelle fois, et je croise les doigts. A priori tout le monde est calme, et ce ne'st pas à mettre sur le compte de la température, le tube s'est réchauffé. Le lendemain, je retrouve la gyne les six fers en l'air, dans l'ADC. Donc je sais que cet incident ne me met pas en parfaite position pour donner des conseils aux débutants, que ces conseils sont on ne peut plus redondants sur ce forum, et qu'ils sont ridicules tant ils sont évidents, mais avis au débutants : respectez les conseils et soyez patients, la preuve par l'exemple.
Mais revenons à la gyne dont l'introduction s'est bien passée, en espérant que ce speech ne plombe pas l'ambiance. :hihi:
La suite logique : de nouvelles éclosions d'ouvrières (environ 70 cocons au départ, par la suite j'en ai rajouté, donc une centaine au total), la proportion ouvrières/cocons qui s'inverse... ... Et surtout plus d'ouvrières pour nourrir une gyne qui n'est pas particulièrement grosse. Son gastre s'est donc rapidement arrondi, nourrissage oblige.

Elles ne sont pas difficiles, ne me boudant jamais le miellat proposé (sucre+eau, sirop d’érable dilué, miel dilué, bio bien sûr, etc). J'ai également proposé des protéines pour favoriser la ponte.

Résultat, environ un mois après sa capture, c'est à dire le 10 juillet 2019, la gyne était devenue une vraie bonbonne, son gastre ayant triplé en comparaison du moment de la capture. Les membranes inter-segmentaires tendues presque à leur maximum, laissant entrevoir des œufs blancs si on regarde avec une bonne loupe. Il a suffi que je m'absente deux jours pour que la gyne me fasse cadeau d'une grosse grappe d’œufs.

Photo (de mauvaise qualité) de la gyne bien gonflée, un peu après la première ponte., [Blog] Présentation de mes colonies
Photo (de mauvaise qualité) de la gyne bien gonflée, un peu après la première ponte.


Celle-ci a facilement triplée dans le semaine qui a suivi. La gyne ainsi vidée restait quand même plus dodue qu'à sa capture ce qui est tout de même rassurant.

Entre un mois et deux mois après la ponte, bien que je penche plus pour un mois (le genre d'imprécision dont je m'excuse), les premières larves sont là. Deux semaines après, tous les œufs sont devenus des larves. Quelle surprise !
J'avais pu lire que certains ont attendu le printemps d'après pour voir les premières larves, je ne vais pas me plaindre ! :slap:
Peu après l'apparition des larves celles ci sont plus de 200 (230 max).

Couvain le 10 août, [Blog] Présentation de mes colonies
Couvain le 10 août


La magie de l'ordinateur opérant, j'ai pu retrouver la date de la photo, et je peux donc affirmer qu'exactement un mois après la ponte quasiment tous voire tous les oeufs étaient éclos.

Par la suite et jusqu'à la mise en diapause, elles ont vu leurs mensurations légèrement augmenter, mais pas de beaucoup ce qui me fait penser qu'elles n'ont pas mué depuis le passage de l’œuf à la larve.

Pour le reste, que dire sinon qu'elles ont un appétit d'ogre, et que je suis impressionné par la taille des gouttes de miellat qu'elles sont capables d'engloutir, et par la fréquence à laquelle elles peuvent répéter cet exploit...
La mise en diapause s'est bien passée, bien qu'elle ait été un peu tardive, mi décembre environ. La faute au redoux (je voyais encore des Lasius dehors en novembre) mais aussi la mienne.

La sortie s'est faite début février, avant tout le monde (à l'heure ou j'écris ce sont les seules réveillées, je parle des fourmis bien sûr XD ) à cause de leur ferveur à creuser le coton en direction de la réserve d'eau... :-|
Ça m'avait peu inquiété avant la diapause, mais redoux oblige , les travaux de forage ont repris pendant l'hiver. Ce n'est toujours pas gênant dans l’immédiat (du moins c'est mon avis) mais pour prévenir une inondation j'ai voulu les changer de tube. L'ancien a été placé dans l'ADC, qui est connectée au nouveau. Une goutte de miellat a également été mise à disposition. Une paire d'heure après je soulève le tissu qui occulte le nouveau tube et, suspense... ... Une ouvrière qui fait de la reconnaissance. C'est un bon début, mais visiblement le tube ne leur plait pas : un peu plus tard elles ont rétréci l'entrée du tube avec le substrat de l'ADC, probablement pour conserver une bonne hygrométrie et pour se sentir à l'aise, ce qui veut dire qu'elles ont l'intention de rester.

La quantité de larves a diminué, mais pas de manière énorme, je pense qu'on est toujours au dessus de la barre des 150. La taille des nourrissons, quant à elle, n'a pas changée.
La gyne va bien, et l'hiver ne l'a pas faite maigrir (je place ce constat ici, mais il a été fait avant le nourrissage).
Maintenant, le tube est entièrement bouché.


Merci à ceux qui ont pris la peine de lire mon pavé, je suis ouvert à toute critique constructive tant sur la forme que sur le fond de ce Blog. Et je dis blog car je demande au modérateurs de déplacer ce sujet dans la section appropriée, je trouve ce format plus pratique tout compte fait.
En attendant, vous pouvez faire vos commentaires ici.
A bientôt !
Dernière modification par camponotus38 le dim. 23 févr. 2020 19:20, modifié 2 fois.
Lasius emarginatus, L. fuliginosus, Formica (Serviformica) sp aff fusca, F. sp aff pratensis, Solenopsis fugax, Aphaenogaster sp aff subterranea, Messor capitatus. :arrow: Présentation de mes colonies
Avatar de l’utilisateur
camponotus38
Gyne Fécondée
Gyne Fécondée
Messages : 1369
Inscription : dim. 5 nov. 2017 13:48
Genre :

Re: Présentation de mes colonies

Message non lu par camponotus38 »

Bonjour à tout le monde et bonne chance pour la suite de votre confinement ! :-)
Petite mise à jour pour décrire la totalité de mes fondations actuelles, comme dit précédemment il y aura des imprécisions au niveau des dates mais rien de grave. :moui:


Le Q/R : https://www.myrmecofourmis.org/forum/vi ... 53&t=30868


Je commence par les...
Lasius :

Lasius emarginatus
06/03/2020 : Maintenant à température ambiante, elles semblent pourtant toujours en diapause. Elles ont un paquet de petites larves et les ouvrières dépassent la soixantaine.
Le lendemain, elles sont bien réveillées, j'observe les premiers recrutements sur du pseudo-miellat. :hihi:
19/03/20 : Je n'observe pas d'évolution flagrante du couvain ni de nouvelle ponte, mais je ne me fais pas de soucis pour elles.


Lasius (Cautolasius) sp :
La population de cette fondation bigyne datant d'aout 2018 a l'année suivante dépassé les 40 ouvrières...

Cautolasius sp le 22 juin 2019., [Blog] Présentation de mes colonies
Cautolasius sp le 22 juin 2019.
Cautolasius sp le 22 aout 2019., [Blog] Présentation de mes colonies
Cautolasius sp le 22 aout 2019.


... et a chuté ! Il faut savoir que j'avais tenu à reconstituer leur environnement souterrain, avec une boite remplie pratiquement jusqu'au couvercle de terre tassée, et occultée par un tissu. J'y avais introduit des collemboles pour éviter la moisissure, dont elle se nourrissent.
Les ouvrières étaient très timides et ne "sortaient" que rarement dans l'aire de chasse, mais bon, ça c'est pas sur sachant que je ne me fie qu'aux moments où j'ai enlevé le tissu pour jeter un coup d’œil.
Le fait qu'elles soient passives et que mes nourrissages pas assez fréquents ne compensaient pas les ponctions des collemboles dans les liquides sucrés (en tout cas quand je voyais le gastre souvent resserré des ouvrières, l'absence de celles-ci dans l'ADC la majeure partie du temps et le papier alu impeccablement propre avec presque toujours des collemboles dessus, avouez qu'il y a de quoi douter. :moui:) a sensiblement fait baisser la population... :-|
Je soupçonne aussi que le tuyau de liaison n'a pas aidé : je suppose que celui-ci est une "structure" supplémentaire à gérer, et que "l'apprentissage de l'ADC" est plus rapide quand le tube est directement dans l'ADC ou sans tuyau.
Pour une fondation qui n'est pas timide ça ne pose aucun problème, mais pour des Lasius sp jaunes qui, en plus, ne sont pas nourries assez souvent, c'est un facteur aggravant (je pense) qui rend l'exploration de l'ADC moins fréquente. Peu avant la mise en diapause les ouvrières se portaient au nombre d'une vingtaine, et pour être sur qu'elles soient gavées, j'ai placé un coton imbibé de pseudo miellat dans le tube. Elles ont eu la formidable idée de s'engluer dessus (honnêtement je me demande si la goutte de miellat sur l'alu n'est pas moins risquée parfois), et il n'y avait plus que 4 ouvrières vivantes à la sortie de diapause. Le tube étant très sale, avec de la moisissure et des cadavres, je les ai déménagées à la méthode bourrin (pas trop quand même, au pinceau), et 2 ouvrières ont perdu la vie dans l'opération.
20/03/2020 :
Je croise les doigts pour que les gynes refondent, mais actuellement les tests de nourrissage sont peu fructueux, et je n'ai pas envie de les laisser au calme avec rien dans le gastre...


Mais trêve de regrets :
Lasius fuliginosus :
17/03/20 :
QUEL SCOOP !
Les ouvrières commencent à déménager de l'ancien au nouveau tube ! XD
19/03/20 : Elles ne se décident pas à abandonner l'ancien tube, mais le couvain et la reine ainsi que le gros de la troupe sont dans le nouveau. :-)

On passe aux Formica sp :


Formica (Serviformica) sp :
Les ouvrières et la gyne vont bien, environ 10 têtes au total. :-) En revanche, pas de ponte mais je suppose que ce n'est qu'une question de temps. Elles apprécient les liquides sucrés, et sont comme leur genre le veut très sensibles aux vibrations et à la lumière.

Formica cf pratensis :
Cette gyne date d'Avril 2019, je l'ai trouvée sous une pierre plate alors même que je n'avais jamais vu de Formica sensu stricto près de chez moi. Il est vrai que cette espèce habite des niches écologiques un peu différentes de ses cousines. Il y avait l'année dernière 7 larves qui se sont toutes nymphosées, pour une douzaines d'esclaves introduites à la méthode eau sucrée plus frigo, cette fois parce que je ne trouvais absolument aucun cocon. Il s'est trouvé que cette méthode s'est révélée dans ce cas là fructueuse, mais ne l'utilisez qu'en cas de dernier recours ! *non*
J'ai pu assister à la naissance de certains imagos incolores, mais je soupçonne les hôtes de les avoir lynchés, je n'ai jamais pu les voir avec leur coloration définitive. A peu près en même temps j'ai trouvé des cocons d'une espèce hôte (F. fusca/cunicularia ou autre) et les ai ajoutés à la fondation.
19/03/20 :
Elles vont actuellement bien, une trentaine d'esclaves, pas de couvain. J'espère que le nombre plus important d'esclaves aboutira à une ponte plus importante et à une chance de survie plus importante de même des hypothétiques ouvrières pratensis. *amen*


Aphaenogaster cf subterranea :
Cette gyne date d'Aout 2019, elle a pondu 2 jours après sa mise en tube avec un espace vital de deux petits centimètres (pour moi cette espèce est vraiment facile à faire pondre, troisième tentative -une hors blog- et troisième fois où la gyne pond au plus tard deux jours après :-)).
19/03/2020 :
Actuellement (faut que j'arrête avec les actuellement XD) sa ponte est devenue une larve bien dodue qui ne devrait pas tarder à se nymphoser et une plus petite.


Solenopsis (Diplorhoptrum ?) fugax :
Deux gynes provenant d'un même essaimage mises dans le même tube (à la base il y en avait cinq, mais j'ai du m'absenter et les laisser dans leur tube... ... Eppendorf. Il n'y avait aucune agressivité entre elles, en revanche ces deux là sont des rescapées, la chaleur et le manque d’oxygène a eu raison des autres.)
Elles ont décoré leur tube de 1 cm de diamètre (les autres jaunes y ont droit aussi, j'ai réduit les dimensions durant le déménagement de force) de deux œufs aujourd’hui, le 19 mars 2020 ! \o/ Je les laisse dans un tiroir pour les deux prochaines semaines (si je tiens). *salut*

C'est tout pour aujourd’hui, bonne journée ! *salut*
Dernière modification par camponotus38 le dim. 12 avr. 2020 11:16, modifié 5 fois.
Lasius emarginatus, L. fuliginosus, Formica (Serviformica) sp aff fusca, F. sp aff pratensis, Solenopsis fugax, Aphaenogaster sp aff subterranea, Messor capitatus. :arrow: Présentation de mes colonies
Avatar de l’utilisateur
camponotus38
Gyne Fécondée
Gyne Fécondée
Messages : 1369
Inscription : dim. 5 nov. 2017 13:48
Genre :

Re: [Blog] Présentation de mes colonies

Message non lu par camponotus38 »

*salut*
Bonjour à toutes et à tous, il y a (un peu) du nouveau !

Pour commencer voici des photos de la gyne peu après sa capture. Parce qu'on n'a pas trop vu à qui elle ressemblait dans ce Blog :-) :
Formica pratensis photo 1, [Blog] Présentation de mes colonies
Formica pratensis photo 1
Formica pratensis photo vue de dessus, [Blog] Présentation de mes colonies
Formica pratensis photo vue de dessus
Formica pratensis gros plan sur l'avant du corps, [Blog] Présentation de mes colonies
Formica pratensis gros plan sur l'avant du corps


Je posterai probablement d'autres photos/vidéos prises il y a quelques mois si je les juge intéressantes.
La suite :
Les "Classiques" :

Lasius emarginatus :
26/03/20 : Les larves ont un peu grandi, la fondation va bien.
10/04/20 : Les grandes gagnantes de l'année ! Premiers cocons, environ 8. Les larves restantes grossissent, la gyne a re-pondu une grappe d’œufs, et le tube est sale : que demander de plus ? :mrgreen:

Le tube est sale et elles l'ont aménagé, le couvain est donc peu visible. Mais il y en a quand même pas mal.
Je suis presque sur que j'aurai des imagos avant mai. :-)
L. emarginatus sortie de diapause 1, [Blog] Présentation de mes colonies
L. emarginatus sortie de diapause 1
L. emarginatus sortie de diapause 2, [Blog] Présentation de mes colonies
L. emarginatus sortie de diapause 2
Lasius emarginatus le 10/04/20, [Blog] Présentation de mes colonies
Lasius emarginatus le 10/04/20


Formica sp noire
26/03/20 : Elles ont maintenant une petite grappe d’œufs.
10/04/20 : Les premières larves sont là, la population va bien augmenter, enfin surtout parce qu'on part de pas grand chose : huit ouvrières actuellement. J'en ai accidentellement encastrée une entre le plâtre et une paroi de l'ADC (en fait avant le billet précédent, nettoyage de l'ADC à la sortie de diapause, de sorte que seule la tête dépasse). Une ouvrière est revenue plusieurs fois lui faire des contacts antennaires :eh:.
Elles sortent probablement de nuit : je ne les vois jamais dans l'ADC. :neutral:
Pas de photo car ce n'est rien de bien impressionnant, on verra aux cocons.


Les dépendantes :

Lasius fuliginosus :
L. fuliginosus sortie de diapause, [Blog] Présentation de mes colonies
L. fuliginosus sortie de diapause

26/03/20 : Les larves ont l'air bien nourries, on les voit qui ont une tache brune, leur appareil digestif en fonctionnement ! :hihi: Ça fait un beau tapis royal ! XD La gyne est un peu plus "gonflée" mais je ne pense pas qu'elle prépare une ponte avec toutes ces larves.
10/04/20 : La gyne a finalement re-pondu (j'en tiens pour preuve la grappe blanche collée à son derrière :mrgreen: ) ! :]) Je ne me résous pas à les habituer à la lumière : panique à bord.
:-s
L. fuliginosus le 10/04/20, [Blog] Présentation de mes colonies
L. fuliginosus le 10/04/20

Formica pratensis :
10/04/20 : : Je vous laisse juger de ce qui est arrivé \o/ :

Ponte de la gyne dépendante., [Blog] Présentation de mes colonies
Ponte de la gyne dépendante.


J'ai bien nourri en protéines, et les ouvrières étaient bien goulues avec le pseudo miellat.
Les endogènes :
Les Cautolasius ont fait une ponte éparpillée, et en regardant plus tard elles en ont regroupé, mais pas tout. Je ne sais pas s'il s'agit d’œufs trophiques... :think: Je les ai ravitaillées mais elles sont réticentes à se nourrir, elles boivent un peu mais sans plus... Pas l'ombre d'un début de physogastrie, ça m'aurait permis de les laisser tranquilles, mais je vais être obligé de les nourrir au compte gouttes... Comme je ne l'ai pas précisé avant sachez qu'il n'y a plus d'ouvrières, elles sont reparties à zéro.
Les Solenopsis ont une ponte un peu plus importante, je vais essayer de les laisser tranquilles pendant un bon mois.
L'Apheanogaster a mangé ses larves alors qu'elle était au calme et qu'il y en avait une bien avancée. A la place une grappe d’œufs, environ 6.

Je nourris principalement avec des blattes sauvages (Ectobius), grillons des bois out aussi sauvages, des mouches qui le sont un peu moins (et que je ne cherche pas longtemps *vicieux*), et des cloportes, et ce de une à deux fois par semaine pour chaque espèce. Sinon c'est liquides sucrés tous les jours. Mon setup d'élevage :
Setup d'élevage hors endogènes., [Blog] Présentation de mes colonies
Setup d'élevage hors endogènes.


*************************************************************************************************************************************************

J'ai fait court. :mrgreen: Faut vraiment que j'arrive à faire de la synthèse, ça me prend vraiment trop de temps... XD
Merci à tous ceux qui ont lu mon (mes) pavés, j'attends vos commentaires, questions, conseils dans le Q/R.
Dernière modification par camponotus38 le dim. 12 avr. 2020 14:07, modifié 1 fois.
Lasius emarginatus, L. fuliginosus, Formica (Serviformica) sp aff fusca, F. sp aff pratensis, Solenopsis fugax, Aphaenogaster sp aff subterranea, Messor capitatus. :arrow: Présentation de mes colonies
Avatar de l’utilisateur
camponotus38
Gyne Fécondée
Gyne Fécondée
Messages : 1369
Inscription : dim. 5 nov. 2017 13:48
Genre :

Re: [Blog] Présentation de mes colonies

Message non lu par camponotus38 »

*salut*
Bonjour à toutes et à tous.
Mes fondations vont bien, les gynes seules un peu moins (endogènes) pour certaines. Je ne m'attarderai pas dessus tant qu'il n'y a rien à dire, donc l'Aphaenogaster toujours une ponte, elle ne se laisse pas nourrir (elle n'est pas très dodue, et est en retard, néanmoins elle conserve ses instincts maternels). Un comportement que j'ai systématiquement observé chez les gynes Aphaenogaster rousses, c'est qu'elles tiennent constamment leurs œufs entre leurs mandibules. Je vais la laisser tranquille.

Cautolasius : des œufs éparpillés dans le tube, peut-être certains d'entre eux un peu regroupés.
Une gyne vraiment maigre et une qui l'est moins, mais qui n'est pas dodue, loin de là.
Enfin pour les Solenopsis, ça se passe bien je suppose, je n'ai pas de raisons de m'inquiéter.

La suite :

Les "Classiques":

Formica sp noires :
16/04/20 : Des larves bien avancées, des œufs.
22/04/20 :
Premier cocon chez les Formica sp noires !, [Blog] Présentation de mes colonies
Premier cocon chez les Formica sp noires !

Au départ elles étaient quelque chose comme 8 ou 9, elles sont actuellement 6. Mais comme vous pouvez le voir, elles ne vont pas le rester longtemps. :-)

Lasius emarginatus :
16/04/20 : Il y a des larves en quantité, et une grosse vingtaine de cocons.
22/04/20: Plus d'une quarantaine de cocons, je ne sais pas combien il y a de larves mais plus d'une vingtaine à coup sûr, et dans la grosse grappe d’œufs de la fondation, le nombre de ceux-ci se porte à 60, minimum !
Avec une soixantaine d'ouvrières, la mise en nid ne va pas tarder : celle-ci se fera à la centaine d'ouvrières.
Le nid que je leur ai fabriqué ne va pas attendre longtemps une fois terminé.
Lasius emarginatus et leur tapis de cocons (certains sont cachés sur la photo), [Blog] Présentation de mes colonies
Lasius emarginatus et leur tapis de cocons (certains sont cachés sur la photo)

Les dépendantes :

Lasius fuliginosus :
14/04/20 : Je me rends compte, grâce à un déménagement intempestif de larves, que l'ancien tube ne contient pas que des ouvrières en réserve, car pour information elles ne l'ont toujours pas abandonné. Par manque de place, je suppose. En tout cas, les larves les plus avancées (cela va du simple au double voire un peu plus) se trouvent dans l'ancien tube, elles ont creusé une salle dans la réserve d'eau, en continuant leur sape pendant la diapause.
22/04/20 : Nous avons donc : une grosse grappe d’œufs assez fraîche, un beau tapis de larves, et un autre beau tapis de larves plus grosses... et probablement bientôt un premier cocon, si ce n'est pas déjà fait : je ne peux voir les larves dans l'ancien tube que de profil en penchant la tête, leur salle se situe sous le coton d'humidification.

Formica pratensis :
La grappe d’œufs s'est agrandie, vivement les larves ! Il me semble que contrairement aux Lasius dépendantes, le stade larvaire de ces dames est assez rapide. Une photo plus nette mais toujours pourrie, pour le plaisir des yeux XD :
Formica pratensis : une jolie grappe d’œufs de parasite !, [Blog] Présentation de mes colonies
Formica pratensis : une jolie grappe d’œufs de parasite !


Ce sera tout pour aujourd'hui ! Pour blablater c'est ici :arrow: Q/R
Lasius emarginatus, L. fuliginosus, Formica (Serviformica) sp aff fusca, F. sp aff pratensis, Solenopsis fugax, Aphaenogaster sp aff subterranea, Messor capitatus. :arrow: Présentation de mes colonies
Avatar de l’utilisateur
camponotus38
Gyne Fécondée
Gyne Fécondée
Messages : 1369
Inscription : dim. 5 nov. 2017 13:48
Genre :

Re: [Blog] Présentation de mes colonies

Message non lu par camponotus38 »

Bonjour tout le monde !

La totalité des fondations, ou presque, se porte bien !

Beaucoup de texte, donc je mets des spoilers pour que vous puissiez cibler ce qui vous intéresse, et pour faciliter la lecture.

Lasius fuliginosus :
24/04/20 : Le premier cocon des Lasius fuliginosus est là ! Vraiment gros soit dit en passant, je dirais le double des cocons des Lasius emarginatus.

Lasius fuliginosus, une partie des cocons et une gyne magnifique vue de profil., [Blog] Présentation de mes colonies
Lasius fuliginosus, une partie des cocons et une gyne magnifique vue de profil.


15/05/20 : Des cocons en masse, dans l'ancien comme dans le nouveau tube (les premiers étaient uniquement dans le nouveau), et pour ce qui est des larves, il y en a vraiment de tous les stades (et probablement en quantité), parce qu'il y a eu différentes pontes réparties entre l'année dernière et cette année, et que même pour des œufs pondus en même temps le développement tend à se désynchroniser à plus fort effet en fin de développement. Il y a donc des larves en quantité, surtout dans l'ancien tube (celui laissé dans l'ADC car elles ne voulaient pas l'abandonner complètement, par manque de place je pense) et sa salle creusée dans le coton de la réserve d'eau (j'espère que vous vous en souvenez, et que je noie pas mon blog dans trop d'informations inutiles qui le rendent difficile à suivre *oups*), et cela va de la larve fraîchement éclose à celle prête à tisser son cocon. Les larves comme les cocons dépassent probablement la centaine.


Lasius emarginatus :
J'avais dit que je les mettrai dans leur nid à la centaine d'ouvrières révolue, mais après avoir vu la place déjà importante qu'utilisait la vingtaine d'ouvrières sauvages du test (ramenées involontairement avec la salade du jardin pour ma défense :tututu:), je me suis décidé à les y déplacer avant.

Faut dire que ça m'arrange, attendre l'éclosion de tous les cocons, c'est long ! XD

29/04/20 : Plus de 40 cocons, les seules larves présentes se préparent à les rejoindre. :hihi:

02/05/20 : Une grappe très imposante trône dans le tube, entre 100 et 200 œufs je dirais.

05/05/20 :
Je suppute une première naissance, un débris de cocon traîne dans le tube.

0[?]/05/20 : Après avoir observé quelques naissances, je décide de connecter leur nid à l'aire de chasse. Je les ai aidées, en tapotant ce qui restait dans le tube après deux heures de déménagement, et elles sont maintenant en train de s'organiser. Nous avons donc entre 50 et 60 ouvrières, une grosse cinquantaine de cocons, des grappe d’œufs de très bonne taille !
Lasius emarginatus déménagement 1., [Blog] Présentation de mes colonies
Lasius emarginatus déménagement 1.
Lasius emarginatus déménagement 2 (a few day later)., [Blog] Présentation de mes colonies
Lasius emarginatus déménagement 2 (a few day later).
Une nourrice L. emarginatus (trop mignonne je trouve) fraichement éclose dans le nid., [Blog] Présentation de mes colonies
Une nourrice L. emarginatus (trop mignonne je trouve) fraichement éclose dans le nid.


15/05/20 : L'effectif s'élève à 75-85 ouvrières, une grosse vingtaine de cocons -qu'elles ont cru bon de déplacer dans le tuyau de liaison, deux énormes grappe d’œufs et une petite quinzaine de larves (les premières made in 2020).
Vivement les éclosions, cela va faire un énorme tapis de larves. Le nid est déjà plus plein que sur les photos.



Cautolasius :
Un jour en mai 2020 : Le tube était sale car parsemé d’œufs prêts à moisir, je les ai déménagées en sauvant certains de leurs œufs en bon état même si je n'ai pas l'impression qu'elles s'en occupent. J'ai retenté un nourrissage, une des deux s'est abreuvée durant quelques minutes, mais pas de physogastrie, et l'une des deux a décliné une trophallaxie de celle qui s'est nourrie si j'ai bien vu. Celle-là est vraiment maigre. Dès que le temps se réchauffe, je tente du couvain de Tapinoma, après tout pour refonder elles ont aussi besoin de protéines. Peut-être qu'avec ces dites protéines, elles seront plus enclines à accepter le sucre. Wait and see.


Formica pratensis :
Je ne vais pas rendre ce sujet encore plus lourd qu'il ne l'est ni faire doublon, puisque il y a déjà un sujet traitant de leurs avancées ;-) .



Formica sp. noire :

15 mai 2020 : 17 cocons, un peu plus de larves œufs, 7 ouvrières. La population va donc plus que doubler en très peu de temps, il n'y avait eu qu'une ponte aboutissant à 10 ouvrières l'année dernière et elles étaient on ne peut plus amorphes (absence de ponte oblige). Cette année, elles vont enfin devenir intéressantes à observer et ce n'est pas pour me déplaire.

Formica (Serviformica) noires : quelques cocons, [Blog] Présentation de mes colonies
Formica (Serviformica) noires : quelques cocons



Messor capitatus :
La fondation récupérée le 13 mai 2020 (merci Roasty) est composée d'un joli couvain, de 3 fidèles ouvrières, et de leur monstre de mère ! Quand les plus grosses fourmis que vous pouvez observer près de chez vous sont des Messor structor et des Camponotus aethiops, un engin pareil est une agréable surprise ! XD


Solenopsis :
J'ai eu un petit problème : je les regardais relativement peu souvent, mais les gynes pondaient de manière un peu trop éparpillée, suffisamment pour me gêner mais pas assez pour que je m'inquiète de leur fécondité. Le problème est qu'elles se trouvent dans un tiroir, et qu'en le refermant malgré tout le soi que j'y apporte, le tube roule un peu. Des œufs ne sont donc plus accessibles aux gynes et ont fini par moisir, ce qui est finalement arrivé à presque tout le couvain. C'est dommage, la première larve était là, mais je n'ai pas réussi à la sauver lors du déménagement forcé. Je voulais avoir l'assurance de pouvoir en élever sans attendre les essaimages pour trouver des gynes, et donc attendre 2021 pour les ouvrières (pour rappel ce genre pond en général après la diapause en raison de son essaimage tardif). La remise en main propre des moissonneuses de Roasty approchant, j'en ai profité pour lui demander d'ajouter des Solenopsis (une chance que je sois tombé sur le sujet à temps :lol2:) à la "commande".

15 mai 2020 : Il y en a une qui a des larves, une qui a une grappe d’œufs. Petit bonus, elles ont été capturées pas si loin de mon domicile. :hihi: Et le tube des deux gynes "maison" (c'est leur nom à partir de dorénavant :-P) récemment re-nourries suite à leur problème, contient maintenant une nouvelle grappe d’œufs. Même après le problème qu'elles ont eu, je ne m'inquiète pas car elles sont rebondies comme à leur capture après ce nourrissage.


Et enfin, Aphaenogaster sp. aff subterranea :

Suite à des nourrissages au couvain de Tapinoma, la gyne Aphaenogaster est devenue de plus en plus dodue, et actuellement elle a entre 5 et 12 larves et est aussi dodue qu'à sa capture.

Pourquoi l'avoir nourrie ? J'avais préparé un mini paragraphe argumenté, mais on lui préférera la formule "elle était maigre, point final" ! *oups*

A mon avis c'est une aberration que de vouloir mettre des endogènes (Lasius jaunes, Solenopsis, etc) dans un système classique avec grande ADC ouverte.

Je préfère donc fabriquer une aire de chasse imitant une pierre dans la litière, fermée, parfois ou tout le temps humide, basse de plafond et si possible un minimum à l'abri de la lumière ou au moins des lumières vives (tout comme le nid d'ailleurs.)

Elles se sont morphologiquement adaptées à vivre sous terre mais certains semblent l'avoir oublié. Je ne dis pas qu'elles ne peuvent vivre avec un setup classique, ne vous méprenez pas, mais l'élevage consiste quand même à proposer des conditions de maintien un minimum proche de ce que l'on trouve dans la nature. Mais je m'égare...

Voilà, fin de cet interminable billet dont la rédaction m'a encore pris longtemps, alors s'il vous plait, récompensez mes efforts en me donnant vos retours et questions dans le Q/R. ;-)
Dernière modification par camponotus38 le dim. 3 janv. 2021 18:50, modifié 6 fois.
Lasius emarginatus, L. fuliginosus, Formica (Serviformica) sp aff fusca, F. sp aff pratensis, Solenopsis fugax, Aphaenogaster sp aff subterranea, Messor capitatus. :arrow: Présentation de mes colonies
Avatar de l’utilisateur
camponotus38
Gyne Fécondée
Gyne Fécondée
Messages : 1369
Inscription : dim. 5 nov. 2017 13:48
Genre :

Re: [Blog] Présentation de mes colonies

Message non lu par camponotus38 »

1er Août 2020


Bonjour/bonsoir tout le monde ! Pas de billet pendant trois mois, je vais réparer cela ! :-)

Un billet uniquement sur mes Lasius fuliginosus, pour plusieurs raisons : je n'ai pas le courage de parler de toutes mes espèces aujourd'hui vu tout ce que j'ai déjà écrit seulement sur ces dames, cela fait monter le suspense :lol2: (quoi que ce billet aurait du être le dernier puisque peut-être le plus attendu) ensuite pour ne pas faire de trop gros billets (je complèterai demain), et enfin parce qu'avec deux billets pour un seul, je peux mettre plus de photos. :moui:

Lasius fuliginosus :

Il s'en est passé des choses en trois mois !
Tout commence par le tas de cocons évoqué dans le billet précédent : autant de potentielles ouvrières, je m'attendais à des éclosions en masse !

1-Cocons délaissés

Pourtant, à part un restant de cocon, je n'ai pas trouvé de preuve que les ouvrières hôtes ouvraient les cocons.

Je savais que je pourrais rencontrer ce problème, cela arrive chez les parasites. Pour rappel, les ouvrières fourmis sortent de leur cocon à peine colorées et encore molles, pourtant les cocons noirs s'accumulaient : elles étaient déjà colorées, et auraient du être libérées depuis longtemps. Si elles restent trop longtemps dans leur prison de soie, elles meurent logiquement de faim, d'inanition, etc.

Je tenais moyennement à attendre qu'une ouvrière se décide à ouvrir un cocon (ce qui n'est même pas certain) après que beaucoup d'autres ne renferment plus que des cadavres d'ouvrières.

J'ai donc vidé le tube principal (autre rappel, elles étaient réparties dans deux tubes : un nouveau et l'ancien dans l'ADC duquel j'avais essayé de les faire déménager, elles avaient finalement gardé les deux) dans une boite, trié cocons noirs ainsi que plus foncés des blancs, puis je me suis servi de ma pince entomologique pour ouvrir les cocons (pointes de moins de 0,5 mm).
Après quelques tentatives, j'avais une douzaine d'ouvrières valides/nymphes colorées que j'ai remises avec les ouvrières du tube principal.

Plusieurs réactions : agressivité, ignorance, tapotements d'antennes "amicaux".

Je les remets donc en tube et en change par la même occasion. Le deuxième tube dans l'ADC me gênait, il y en a toujours deux maintenant, mais côte-à-côte et tous les deux reliés à l'ADC via un tuyau.

Je peux vérifier durant les jours suivants que mon intervention a peut-être servi à quelque chose, puisque les naissances se poursuivent. Au fur et à mesure, les parasites sont devenus dominantes, pour atteindre environ deux cents têtes. :slap: Elles dépassent sûrement ce nombre d'ailleurs.

A contrario, les hôtes ont vu leur population chuter, et je dirais qu'elles sont actuellement moins d'une vingtaine : il est rare que j'en aperçoive. Mortes de vieillesse (je trouve cela un peu rapide) ? Tuées par les parasites une fois nombreuses ? :neutral:

2- Faits divers

Maintenant, trois derniers derniers faits pour conclure le billet :

- un, une deuxième génération arrive : actuellement plus de 20 nouveaux cocons, plus de cinquante grosses larves, entre 150 et plus de 200 petites larves (mes proches me disent que j'ai un besoin maladif de donner un chiffre ! XD) ;

- deux, si j'oublie les liquidesucrer :tututu:, l'ADC est saturée d'ouvrières (impressionnant). Je songe à leur donner un setup plus grand, peut-être même un mini terrarium pour les inciter à construire leur fameux nid en carton (que je n'ai d'ailleurs toujours pas réussi à trouver in natura), qui sait ?

- trois : j'ai parlé des larves et j'ai très franchement l'impression que leur développement s'accélère. J'avais émis une hypothèse il y a quelques mois là-dessus : il est prouvé que les trophallaxies ouvrières-larves chez les insectes sociaux approvisionnent la larve non seulement en nourriture mais également en hormones de croissance.
"SCANDALE : les fourmis ont recours à des stéroïdes" XD
.

De là, on peut supposer que les ouvrières hôtes qui nourrissent les larves de la reine parasite ont des hormones de croissances non parfaitement compatibles avec celles-ci, ce qui ralentit leur développement. Ensuite, les ouvrières parasites fraichement écloses peuvent s'occuper des larves suivantes de leur mère, en leur fournissant les bonnes hormones de croissance durant les trophallaxies.

Lasius fuliginosus 0 : vue d'ensemble, le tube secondaire est visible en partie, [Blog] Présentation de mes colonies
Lasius fuliginosus 0 : vue d'ensemble, le tube secondaire est visible en partie
Lasius fuliginosus 1 : dans le tube secondaire, qui contient une partie des grosses larves, [Blog] Présentation de mes colonies
Lasius fuliginosus 1 : dans le tube secondaire, qui contient une partie des grosses larves
Lasius fuliginosus 2 : dans le tube principal, qui contient quelques grosses larves, les cocons qu'elles deviennent, et surtout un gros tapis de larves toutes récentes !, [Blog] Présentation de mes colonies
Lasius fuliginosus 2 : dans le tube principal, qui contient quelques grosses larves, les cocons qu'elles deviennent, et surtout un gros tapis de larves toutes récentes !
Lasius fuliginosus 3 : dans le tube principal, toujours le gros tas de jeunes larves, mais avec un focus un peu différent, [Blog] Présentation de mes colonies
Lasius fuliginosus 3 : dans le tube principal, toujours le gros tas de jeunes larves, mais avec un focus un peu différent
Lasius fuliginosus 4 : dans le tube principal, une vue "magnifique" et "très dégagée" sur les cocons récents (et les seuls), [Blog] Présentation de mes colonies
Lasius fuliginosus 4 : dans le tube principal, une vue "magnifique" et "très dégagée" sur les cocons récents (et les seuls)


Pour vraiment conclure ce billet, les photos ! XD :-)
Pour les réaliser, j'ai du utiliser un éclairage, ce qui a eu pour effet de les exciter, la gyne également. Elle a eu la bougeotte et s'est déplacée du fond jusqu'au centre du tube, comme vous pourrez le voir (où est Charlie ?).
Cependant, je ne les dérange pas souvent et comme toutes mes espèces, elles sont au noir total et (presque) à l'abri des vibrations.

J'ajouterai que ces photos ne sont pas représentatives de la population puisque beaucoup d'ouvrières sont dans l'ADC.

À demain pour un prochain billet ! Ne vous sentez pas obligés de l'attendre pour prendre le chemin du :arrow: [Q/R]. :mrgreen:
Dernière modification par camponotus38 le dim. 2 août 2020 12:49, modifié 6 fois.
Lasius emarginatus, L. fuliginosus, Formica (Serviformica) sp aff fusca, F. sp aff pratensis, Solenopsis fugax, Aphaenogaster sp aff subterranea, Messor capitatus. :arrow: Présentation de mes colonies
Avatar de l’utilisateur
camponotus38
Gyne Fécondée
Gyne Fécondée
Messages : 1369
Inscription : dim. 5 nov. 2017 13:48
Genre :

Re: [Blog] Présentation de mes colonies

Message non lu par camponotus38 »

[CE BROUILLON A ENVIRON UN MOIS, je le poste en retard et sans photos. Je devrais pouvoir refaire des photos post diapause^^.]

*salut*
Salut tout le monde !

Petit bilan de mise en diapause... :-)

Premièrement, des soucis d'humidification ont décimé une partie de la population L. emarginatus, les faisant revenir au point de départ (comprenez une grosse cinquantaine d'ouvières) de la sortie de diapause. *oups*
Deuxièmement, la fondation de Solenopsis fugax avec deux gynes a vu ses génitrices mourir. On pouvait s'y attendre... *oups*.
Il m'en reste deux autres, avec une seule gyne par tube cette fois. J'avais donné le couvain de la fondation morte à une de celles en bonne santé.
Enfin, ma fondation de Formica (Serviformica) noires a vu sa gyne mourir à cause de ce que je suppose être un champignon.
Une jolie couleur jaune poussin, bref... :think:
EDIT : Plus de Cautolasius (Lasius jaunes) non plus...
Passons à la suite du billet !

La fondation, est arrivée chez moi avec trois ouvrières, celles ci dépassent maintenant la vingtaine.
J'avais pour projet de me constituer une "banque de graine" pour ne les nourrit qu'avec des graines sauvages, mais je me suis arrêté en route. Leur régime n'a donc pas été très diversifié, mais elles semblent s'accomoder plutôt bien des graines de pissenlit, salsifi sauvage et occasionnellement de l'avoine sauvage ainsi que des graines de chardon géant (des beaux bébés :mrgreen:).

Solenopsis fugax :


Mis à part l'incident relaté plus haut, je suis très content de leur développement ! la population dépasse pour sur la vingtaine pour chacune des deux fondations. Nourries en ce moment aux liquides sucrés et vers de farine.




De ce côté aussi je suis satisfait du développement, probablement plus de 20, de même. :-)
J'hésite un peu quand à l'apport de liquides sucrés, même si pour éviter les carences je leur en fournit de temps en temps.
En fait, mon vice à moi c'est de retourner les pierres (je sais, c'est pas bien... *oups* ) et je n'ai croisé cette espèce que dans des milieux peu exposés, froids, et surtout profond en litière de forêt, généralement loin de toute plantes, et donc de toute culture de pucerons.
De plus, j'ai cru comprendre que leur régime était exclusivement carné, avec des arthropodes de la litière (ce qui implique une bonne dose de vers de farine ^^).
Si une âme charitable pouvait m'éclairer dans le Q/R, je lui en serait très reconnaissant.

Lasius emarginatus :


Je crois que tout est dit, la population est de retour au point de départ de début d'année, soit environ 50 ouvrières, et peu de couvain.
Formica sp aff pratensis (les fourmis rousses éco+ XD)


Pour le coup je suis assez content et déçu à la fois :
- d'un côté, les avoir amenées à leur cinquantaine d'ouvrières me rend assez content
- de l'autre, moi qui commençait à spéculer en allant jusqu'à dire qu'elles auraient pu dépasser les 200 têtes avant la diapause, ben j'suis déçu quoi... :tututu: La gyne n'a pas pondu depuis les derniers billets... On verra donc l'année prochaine pour estimer leur population avec plusieurs zéros, ou pas... :neutral: :hihi:

Lasius fuliginosus :


Mes chouchoutes !

Le couvain mentionné dans le dernier billet a donné de nouvelles ouvrières, et maintenant elles se sont mises en grappe et elles me font la g***... :-P
Vous l'aurez compris, elles se préparent comme les autres à l'entrée en diapause, mais c'est plus spectaculaire puisqu'il s'agit de ma fondation (colonie) la plus populeuse. la population dans sa totalité !
Ce sera tout pour l'année 2020 ! ;-)
N'hésitez pas à me conseiller sur la rédaction pour rendre la lecture plus fluide ou agréable, ou simplement discuter de mes colonies en devenir. :arrow: [Q/R]
Dernière modification par camponotus38 le dim. 3 janv. 2021 18:50, modifié 1 fois.
Lasius emarginatus, L. fuliginosus, Formica (Serviformica) sp aff fusca, F. sp aff pratensis, Solenopsis fugax, Aphaenogaster sp aff subterranea, Messor capitatus. :arrow: Présentation de mes colonies
Avatar de l’utilisateur
camponotus38
Gyne Fécondée
Gyne Fécondée
Messages : 1369
Inscription : dim. 5 nov. 2017 13:48
Genre :

Re: [Blog] Présentation de mes colonies

Message non lu par camponotus38 »

Ce sera tout pour l'année 2020 ! ;-)
:mrgreen:
J'ai récemment retrouvé la loupe que je couplais à mon appareil photo, voici donc un mini-billet avec uniquement des photos de mi-diapause, pour le plaisir des yeux (du moins, je l’espère XD).
Pour ce qui est de mes chouchoutes, les L. fuliginosus, leur dernières photos devraient suffire. ^^

Formica sp aff pratensis., [Blog] Présentation de mes colonies
Formica sp aff pratensis.
Formica sp aff pratensis 2,  gros plan sur une ouvrière., [Blog] Présentation de mes colonies
Formica sp aff pratensis 2, gros plan sur une ouvrière.


Messor capitatus 2, gros plan sur une ouvrière portant une grappe d'oeufs., [Blog] Présentation de mes colonies
Messor capitatus 2, gros plan sur une ouvrière portant une grappe d'oeufs.


Solenopsis fugax 1, [Blog] Présentation de mes colonies
Solenopsis fugax 1
Solenopsis fugax 2, [Blog] Présentation de mes colonies
Solenopsis fugax 2


Aphaenogaster sp aff subterranea 1, [Blog] Présentation de mes colonies
Aphaenogaster sp aff subterranea 1
Aphaenogaster sp aff subterranea 2, [Blog] Présentation de mes colonies
Aphaenogaster sp aff subterranea 2


Lasius emarginatus 2, [Blog] Présentation de mes colonies
Lasius emarginatus 2


*salut*
Dernière modification par camponotus38 le mar. 19 janv. 2021 09:37, modifié 3 fois.
Lasius emarginatus, L. fuliginosus, Formica (Serviformica) sp aff fusca, F. sp aff pratensis, Solenopsis fugax, Aphaenogaster sp aff subterranea, Messor capitatus. :arrow: Présentation de mes colonies
Répondre Nouveau sujet

Revenir à « Blogs des espèces "françaises" »